Γιατί δεν εξερράγη γιγαντιαίο ηφαίστειο στο Όρεγκον και πότε προβλέπεται (vid)
- Πότε θα εκραγεί: «Μάλλον θα χρειαστεί να προσθέσουμε έναν χρόνο»
- Η θεωρία της «διόγκωσης»
- Παίζουν ρόλο ο Ήλιος και η Σελήνη;
- Το νέο μοντέλο πρόβλεψης σε δοκιμή: Πότε δείχνει πως θα εκραγεί το ηφαίστειο;
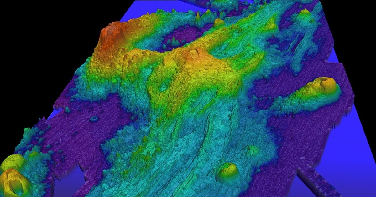
31 Δεκεμβρίου, και το ρολόι μετρά αντίστροφα για το τέλος της χρονιάς. Για τους γεωλόγους, αυτό σήμαινε κάτι πολύ συγκεκριμένο: ότι το Axial Seamount, ένα υποθαλάσσιο ηφαίστειο ανοιχτά του βορειοδυτικού Ειρηνικού, είχε λίγες ώρες για να επιβεβαιώσει τις προβλέψεις περί έκρηξης μέσα στο 2025.
Τελικά, αυτό δεν συνέβη. Και έτσι, η πρόβλεψη μετατέθηκε.
Πότε θα εκραγεί: «Μάλλον θα χρειαστεί να προσθέσουμε έναν χρόνο»
Ο Bill Chadwick, ερευνητής στο Oregon State University, παραδέχτηκε σε ανάρτησή του ότι τα νεότερα δεδομένα δείχνουν πως η έκρηξη μετατίθεται χρονικά. Όπως εξήγησε, με τον τρέχοντα ρυθμό «διόγκωσης» του ηφαιστείου, το κρίσιμο όριο που θα μπορούσε να οδηγήσει σε έκρηξη δεν αναμένεται πριν τα μέσα ή τα τέλη του 2026.
Η πρόβλεψη αυτή, δεν ήταν τυχαία. Το Axial Seamount θεωρείται το πιο καλά παρακολουθούμενο υποθαλάσσιο ηφαίστειο στον κόσμο, με αισθητήρες που καταγράφουν σε πραγματικό χρόνο σεισμική δραστηριότητα, κινήσεις του βυθού και το «φούσκωμα» της επιφάνειάς του.
Τον Νοέμβριο του 2024, οι μετρήσεις έδειξαν ότι η διόγκωση του ηφαιστείου είχε ξεπεράσει τα επίπεδα που είχαν καταγραφεί λίγο πριν από την τελευταία έκρηξη το 2015, γεγονός που ενίσχυσε την πεποίθηση ότι μια νέα έκρηξη ήταν κοντά.
Η θεωρία της «διόγκωσης»
Σύμφωνα με τους ειδικούς, όσο συσσωρεύεται μάγμα κάτω από την επιφάνεια, το ηφαίστειο διογκώνεται. Κάποιοι επιστήμονες πίστευαν ότι το ύψος αυτής της διόγκωσης μπορεί να προβλέψει το πότε θα γίνει η έκρηξη.
Ωστόσο, αποδείχθηκε ότι το Axial δεν ακολουθεί τόσο απλά μοτίβα. Παρότι έχει ξεπεράσει το όριο του 2015, δεν έχει φτάσει ακόμα το υψηλότερο κατώφλι που πλέον θεωρείται απαραίτητο για μια νέα έκρηξη.
Ένα ακόμη στοιχείο που «φρέναρε» τις προβλέψεις είναι η χαμηλή σεισμική δραστηριότητα. Πριν από μια έκρηξη, οι επιστήμονες θα περίμεναν χιλιάδες μικροσεισμούς ημερησίως για μήνες. Όμως μέσα στο 2025, το Axial παρουσίαζε συνήθως μόλις 100 σεισμούς την ημέρα, πολύ λιγότερους από το αναμενόμενο.
Παίζουν ρόλο ο Ήλιος και η Σελήνη;
Ακούγεται παράξενο, αλλά οι ερευνητές εξετάζουν ακόμη και την επίδραση της βαρύτητας του Ήλιου και της Σελήνης. Οι παλίρροιες δεν κινούν μόνο τους ωκεανούς, αλλά ασκούν πίεση και στον φλοιό της Γης, κάτι που μπορεί να επηρεάζει τη σεισμική δραστηριότητα.
Δεν είναι τυχαίο, λένε, ότι οι τρεις τελευταίες εκρήξεις του Axial σημειώθηκαν μεταξύ Ιανουαρίου και Μαΐου, αν και δεν είναι ξεκάθαρο αν πρόκειται για φυσικό φαινόμενο ή απλή σύμπτωση.
Το νέο μοντέλο πρόβλεψης σε δοκιμή: Πότε δείχνει πως θα εκραγεί το ηφαίστειο;
Οι επιστήμονες δεν εγκαταλείπουν την προσπάθεια. Από τον Νοέμβριο, βρίσκεται σε εξέλιξη ένα νέο, φυσικής βάσης μοντέλο πρόβλεψης, που χρησιμοποιεί δεδομένα σε πραγματικό χρόνο και έχει δείξει ότι μπορεί να «προβλέψει» εκρήξεις αναδρομικά. Το μεγάλο ερώτημα παραμένει αν θα μπορέσει να προβλέψει με ακρίβεια και την επόμενη πραγματική έκρηξη.
Η απάντηση είναι απλή και ειλικρινής: κανείς δεν ξέρει με βεβαιότητα. Οι επιστήμονες πλέον κοιτούν προς το 2026, και αν όχι τότε, ίσως το 2027. Μέχρι να συμβεί, το Axial Seamount θα συνεχίσει να φουσκώνει σιωπηλά, βαθιά κάτω από την επιφάνεια του ωκεανού.
